トップ
UUUOについて
利用規約
プライバシーポリシー
特定商取引法に基づく表示
運営会社
お問い合わせ
Copyright © UUUO, inc. All Rights Reserved
マダイ4入約3.4kg(定置)【業務用の鮮魚仕入れならウーオ】
TOP
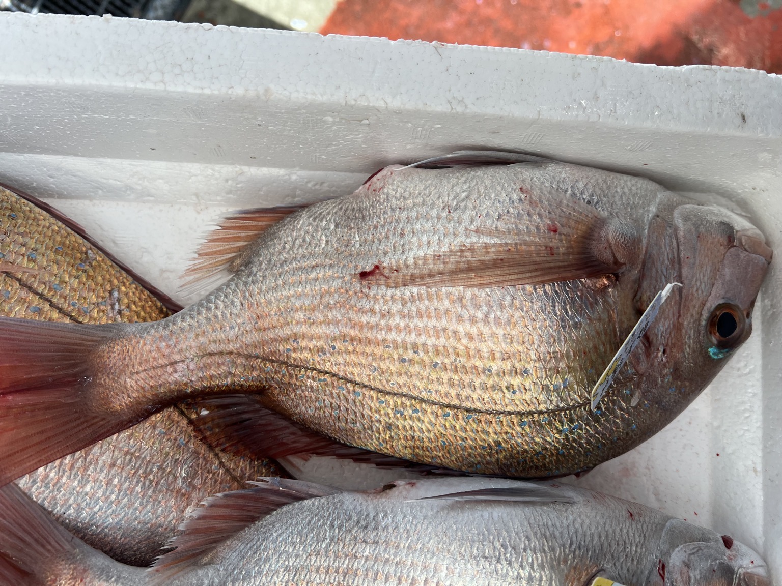
マダイ4入約3.4kg(定置)
12月27日(土) 撮影
1
/
2
福井産
産地直送
マダイ
4入約3.4kg(定置)
定置網 マダイ 12/27、8時水揚げ 活〆 刺身◯ 1尾少し曲がりあり
マダイ
サイズ/規格
価格(税込/送料込)
購入数
4入約3.4kg
約850g
/尾
¥-
利用登録して確認
受付終了
価格確認には利用登録(無料)が必要です
受取方法や支払い方法によって購入できる
商品・価格は異なります
お届け日
本日から最短1~2日を目安にお届け
加工可能と記載の商品以外は加工要望を確約できません。基本的に有償です。
商品詳細
産地
福井産
締め方
お届け方法
ヤマト運輸クール宅急便
全国への配送が可能
出荷注意事項
<市場便> 14時までの注文で当日出荷 ※中央市場の休市日の前日は出荷不可 ※関東方面は(金)は出荷不可 ※夏期は翌々日着地域は出荷不可 <クロネコヤマト> 16時までの注文受付で当日出荷 ※複数商品購入の方はなるべく荷物一個にまとめます。送料分値引きできる分は値引きさせて頂きます ※北海道、青森県、佐賀県、長崎県、熊本県、大分県、宮崎県、鹿児島県、沖縄県、一部離島、は翌々日着 上記以外は翌日着
出品日時
2025年12月27日(土) 9:04
商品ID
332100
購入には利用登録(無料)が必要です
3分で完了!利用登録(無料)
ウーオの使い勝手はいかがですか?
取り扱って欲しい商品や改善してほしい点などを教えてください。
できる限りお応えできるよう努力いたします。
サービスへのご意見・ご要望
おすすめキーワード
ブリ
鮮魚BOX
マグロ・カジキ類
サーモン
ウニ
クエ
サワラ
ボラ子
タラバガニ
本マグロ
カテゴリから探す
訳あり特価品
すべての訳あり特価品 (0)
鮮魚BOX
すべての鮮魚BOX (2812)
マグロ・カジキ類
すべてのマグロ・カジキ類 (4030)
本マグロ (1060)
メジマグロ (651)
ヨコワ (446)
キハダマグロ (320)
ミナミマグロ (281)
キメジマグロ (250)
本マグロ(養殖) (222)
ビンチョウマグロ (190)
バショウカジキ (127)
メバチマグロ (125)
ブリ・サワラ類
すべてのブリ・サワラ類 (8150)
サワラ (2379)
ブリ (2269)
サゴシ (871)
ワラサ (568)
ハマチ (567)
ヒラマサ (452)
ツバス (395)
カンパチ (278)
カマスサワラ (134)
ツムブリ (91)
カツオ類
すべてのカツオ類 (2459)
カツオ (2026)
スマ (166)
ヒラソウダ (119)
ハガツオ (98)
カツオ(冷凍) (30)
マルソウダ (16)
平ソウダガツオ (3)
イケカツオ (1)
特種(ウニ・イクラ・貝類他)
すべての特種(ウニ・イクラ・貝類他) (5207)
ウニ (665)
バフンウニ (590)
シジミ (316)
ホタテ (306)
本バイ (279)
サザエ (225)
ホッキ貝 (218)
白バイ (174)
ハマグリ (163)
マガキガイ (134)
青物(アジ・サバ・イワシ類他)
すべての青物(アジ・サバ・イワシ類他) (7172)
マアジ (1642)
マサバ (1414)
マイワシ (1355)
ゴマサバ (662)
豆アジ (286)
アジ (261)
サンマ(秋刀魚) (214)
マルアジ (175)
ニシン (146)
サヨリ (141)
エビ・カニ類
すべてのエビ・カニ類 (1893)
伊勢海老 (498)
タラバガニ (115)
甘エビ (106)
ワタリガニ (91)
毛ガニ (87)
クマエビ (86)
セコガニ (61)
サルエビ (59)
ボタンエビ (56)
シャコ (51)
イカ・タコ類
すべてのイカ・タコ類 (4399)
ケンサキイカ (740)
アオリイカ (624)
スルメイカ (529)
ヤリイカ (366)
マダコ (352)
コウイカ (262)
ヤリイカバラ (240)
モンゴウイカ (229)
スルメイカバラ (206)
ケンサキイカバラ (126)
ヒラメ・カレイ類
すべてのヒラメ・カレイ類 (2459)
ヒラメ (836)
アカガレイ (351)
イシガレイ (255)
アカシタビラメ (249)
ナメタガレイ (102)
ミズガレイ (79)
エテガレイ (76)
マガレイ (68)
マコガレイ (63)
ササガレイ (56)
サケ・マス類
すべてのサケ・マス類 (927)
サクラマス (217)
銀鮭 (196)
サケ(時不知) (148)
鮭 (113)
サーモン (76)
筋子 (60)
サツキマス(養殖) (45)
紅鮭 (28)
マスノスケ (18)
サーモントラウト(養殖) (8)
タイ類
すべてのタイ類 (7189)
アマダイ (1884)
キンメダイ (1663)
マダイ (1072)
イシダイ (355)
レンコダイ (330)
チダイ (234)
クロダイ (213)
コショウダイ (186)
マトウダイ (149)
イボダイ(エボダイ) (149)
タラ・フグ類
すべてのタラ・フグ類 (1333)
マダラ(加工) (479)
マダラ (289)
タラ白子 (164)
マフグ (79)
スケトウダラ (76)
タラフィーレ (73)
トラフグ (51)
マフグ(身欠) (46)
シロサバフグ (15)
マダラ子 (11)
アナゴ類
すべてのアナゴ類 (928)
アナゴ (581)
ハモ (182)
骨切りハモ (73)
鰻の蒲焼 (31)
ウナギ (26)
ウツボ (12)
ノレソレ (10)
ヌタウナギ (4)
クロアナゴ (4)
アナゴ(冷凍) (3)
白身
すべての白身 (11368)
ノドグロ(アカムツ) (905)
イサキ (858)
タチウオ (606)
キチジ (595)
スズキ (571)
アンコウ (536)
クエ (515)
ウマヅラハギ (421)
メダイ (403)
キジハタ(アコウ) (272)
海藻類
すべての海藻類 (83)
メカブ (80)
海素麺 (3)
その他
すべてのその他 (4137)
鮮魚BOX (2812)
カサゴ (230)
ツブ貝 (169)
ワカメ (85)
その他 (81)
アユ (77)
ツバメウオ (50)
ワカサギ (42)
シラス (36)
その他の加工品 (27)
冷凍・加工品
すべての冷凍・加工品 (2361)
バフンウニ (518)
ウニ (216)
冷凍スルメイカ (79)
イクラ (77)
タラバガニ (55)
マフグ(身欠) (46)
ホタテ (45)
ミナミマグロ (36)
ズワイガニ (32)
サーモン (31)