トップ
UUUOについて
利用規約
プライバシーポリシー
特定商取引法に基づく表示
運営会社
お問い合わせ
Copyright © UUUO, inc. All Rights Reserved
TOP
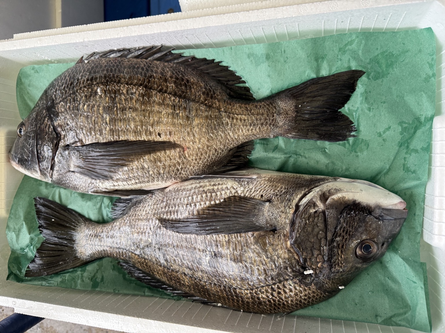
クロダイ2入約3.5kg
2月11日(水) 撮影
1
/
1
島根産
産地直送
クロダイ
2入約3.5kg
朝どれのピッカピカ活〆定置✨ お刺身用👩🍳 よろしくお願いします😊
クロダイ
サイズ/規格
価格(税込/送料込)
購入数
2入約3.5kg
約1.75kg
/尾
¥-
利用登録して確認
受付終了
価格確認には利用登録(無料)が必要です
受取方法や支払い方法によって購入できる
商品・価格は異なります
お届け日
本日から最短1~2日を目安にお届け
加工可能と記載の商品以外は加工要望を確約できません。基本的に有償です。
商品詳細
産地
島根産
締め方
水揚げ日
2月11日(水)
お届け方法
ヤマト運輸クール宅急便
全国への配送が可能
出荷注意事項
朝4〜14時頃の注文受付時間で、商品によって当日もしくは翌日出荷いたします。ヤマト便で島根から関東翌日着できるようになりましたが、最短は14〜16時です。午前中着はできませんのでご了承ください。
出品日時
2026年2月11日(水) 9:26
商品ID
347298
購入には利用登録(無料)が必要です
3分で完了!利用登録(無料)
ウーオの使い勝手はいかがですか?
取り扱って欲しい商品や改善してほしい点などを教えてください。
できる限りお応えできるよう努力いたします。
サービスへのご意見・ご要望
おすすめキーワード
鮮魚BOX
クエ
マグロ・カジキ類
ブリ
サワラ
本マグロ
ウニ
カツオ
サーモン
ホタテ
カテゴリから探す
訳あり特価品
すべての訳あり特価品 (0)
鮮魚BOX
すべての鮮魚BOX (2768)
マグロ・カジキ類
すべてのマグロ・カジキ類 (4623)
本マグロ (1509)
メジマグロ (687)
ヨコワ (447)
キハダマグロ (324)
ミナミマグロ (285)
キメジマグロ (261)
ビンチョウマグロ (212)
本マグロ(養殖) (204)
メバチマグロ (135)
バショウカジキ (127)
ブリ・サワラ類
すべてのブリ・サワラ類 (8076)
ブリ (2339)
サワラ (2309)
サゴシ (801)
ハマチ (574)
ワラサ (557)
ヒラマサ (444)
ツバス (419)
カンパチ (271)
カマスサワラ (134)
ツムブリ (96)
カツオ類
すべてのカツオ類 (2458)
カツオ (2034)
スマ (167)
ヒラソウダ (118)
ハガツオ (89)
カツオ(冷凍) (30)
マルソウダ (16)
平ソウダガツオ (3)
イケカツオ (1)
特種(ウニ・イクラ・貝類他)
すべての特種(ウニ・イクラ・貝類他) (5399)
ウニ (702)
バフンウニ (604)
シジミ (345)
本バイ (261)
ホタテ (259)
ホッキ貝 (233)
サザエ (232)
白バイ (176)
ハマグリ (175)
アサリ (138)
青物(アジ・サバ・イワシ類他)
すべての青物(アジ・サバ・イワシ類他) (7188)
マアジ (1713)
マサバ (1423)
マイワシ (1325)
ゴマサバ (717)
豆アジ (275)
サンマ(秋刀魚) (217)
アジ (198)
マルアジ (169)
サヨリ (148)
ニシン (133)
エビ・カニ類
すべてのエビ・カニ類 (1692)
伊勢海老 (332)
甘エビ (121)
毛ガニ (103)
タラバガニ (91)
クマエビ (84)
ワタリガニ (78)
セコガニ (61)
サルエビ (59)
ボタンエビ (57)
シャコ (49)
イカ・タコ類
すべてのイカ・タコ類 (4390)
ケンサキイカ (738)
アオリイカ (614)
スルメイカ (553)
ヤリイカ (344)
マダコ (320)
ヤリイカバラ (270)
コウイカ (268)
モンゴウイカ (225)
スルメイカバラ (204)
ケンサキイカバラ (125)
ヒラメ・カレイ類
すべてのヒラメ・カレイ類 (2419)
ヒラメ (752)
アカガレイ (353)
アカシタビラメ (294)
イシガレイ (250)
ミズガレイ (91)
ナメタガレイ (86)
エテガレイ (77)
アブラガレイ (72)
マガレイ (66)
マコガレイ (66)
サケ・マス類
すべてのサケ・マス類 (954)
銀鮭 (230)
サクラマス (195)
サケ(時不知) (148)
鮭 (114)
サーモン (81)
筋子 (63)
サツキマス(養殖) (45)
紅鮭 (32)
マスノスケ (18)
サーモントラウト(養殖) (8)
タイ類
すべてのタイ類 (7162)
アマダイ (1790)
キンメダイ (1738)
マダイ (1082)
レンコダイ (352)
イシダイ (335)
クロダイ (227)
チダイ (219)
コショウダイ (183)
マトウダイ (151)
イボダイ(エボダイ) (147)
タラ・フグ類
すべてのタラ・フグ類 (1484)
マダラ(加工) (490)
マダラ (350)
タラ白子 (194)
タラフィーレ (119)
スケトウダラ (89)
マフグ (71)
マフグ(身欠) (51)
トラフグ (47)
シロサバフグ (14)
銀ダラ(冷凍) (13)
アナゴ類
すべてのアナゴ類 (993)
アナゴ (624)
ハモ (184)
骨切りハモ (73)
ウナギ (46)
鰻の蒲焼 (35)
ウツボ (13)
アナゴ(冷凍) (4)
ヌタウナギ (4)
マアナゴ (4)
ノレソレ (2)
白身
すべての白身 (11209)
ノドグロ(アカムツ) (885)
イサキ (850)
キチジ (652)
タチウオ (616)
スズキ (594)
アンコウ (537)
クエ (463)
メダイ (398)
ウマヅラハギ (384)
マナガツオ (283)
海藻類
すべての海藻類 (220)
ワカメ (72)
メカブ (70)
モズク (17)
フノリ (14)
アカモク (12)
マツモ (9)
アオサ (7)
昆布 (6)
ギンナンソウ (4)
海素麺 (3)
その他
すべてのその他 (4139)
鮮魚BOX (2768)
カサゴ (254)
その他 (176)
ツブ貝 (163)
辛子明太子 (88)
アユ (78)
ツバメウオ (52)
その他の加工品 (40)
シラス (35)
ワカサギ (33)
冷凍・加工品
すべての冷凍・加工品 (2632)
バフンウニ (514)
ウニ (211)
辛子明太子 (88)
イクラ (79)
アナゴ (57)
タラバガニ (52)
マフグ(身欠) (51)
冷凍スルメイカ (48)
ホタテ (45)
ミナミマグロ (39)
クロダイ2入約3.5kg【業務用の鮮魚仕入れならウーオ】