トップ
UUUOについて
利用規約
プライバシーポリシー
特定商取引法に基づく表示
運営会社
お問い合わせ
Copyright © UUUO, inc. All Rights Reserved
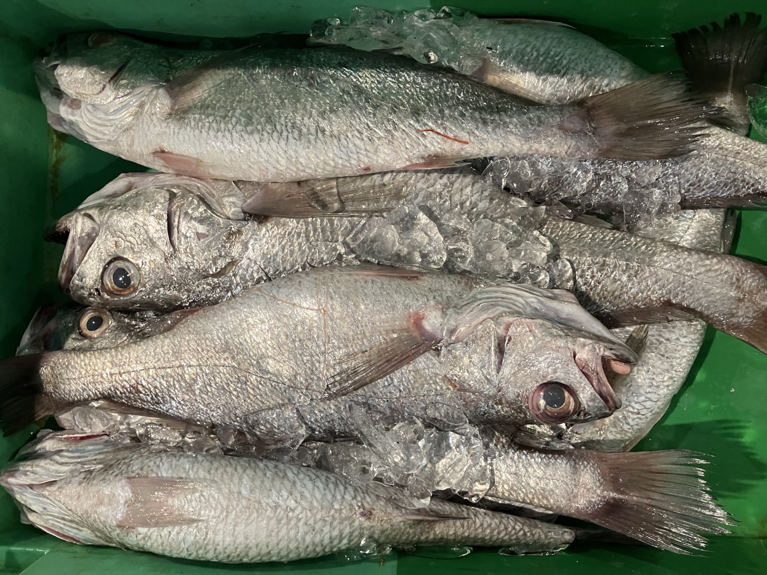
クログチ(底曳)【業務用の鮮魚仕入れならウーオ】
TOP
クログチ(底曳)
8月10日(日) 撮影
1
/
2
愛媛産
産地直送
クログチ
(底曳)
(3規格)
底引網の黒グチです! よろしくお願いします!
クログチ
サイズ/規格
価格(税込/送料込)
購入数
5入約5.7kg
約1.14kg
/尾
¥-
利用登録して確認
受付終了
5入約5.1kg
約1.02kg
/尾
¥-
利用登録して確認
受付終了
6入約5.7kg
約950g
/尾
¥-
利用登録して確認
受付終了
価格確認には利用登録(無料)が必要です
受取方法や支払い方法によって購入できる
商品・価格は異なります
お届け日
本日から最短1~2日を目安にお届け
加工可能と記載の商品以外は加工要望を確約できません。基本的に有償です。
商品詳細
産地
愛媛産
締め方
水揚げ日
8月10日(日)
お届け方法
市場配送
最寄りの市場経由での受け取り
出品日時
2025年8月10日(日) 12:11
商品ID
277873
購入には利用登録(無料)が必要です
3分で完了!利用登録(無料)
ウーオの使い勝手はいかがですか?
取り扱って欲しい商品や改善してほしい点などを教えてください。
できる限りお応えできるよう努力いたします。
サービスへのご意見・ご要望
おすすめキーワード
ブリ
鮮魚BOX
マグロ・カジキ類
ホタルイカ
ウニ
カツオ
本マグロ
毛ガニ
マダコ
サーモン
カテゴリから探す
訳あり特価品
すべての訳あり特価品 (0)
鮮魚BOX
すべての鮮魚BOX (2842)
マグロ・カジキ類
すべてのマグロ・カジキ類 (4955)
本マグロ (1763)
メジマグロ (660)
ヨコワ (440)
キハダマグロ (320)
ミナミマグロ (293)
キメジマグロ (289)
ビンチョウマグロ (218)
本マグロ(養殖) (177)
メバチマグロ (137)
バショウカジキ (127)
ブリ・サワラ類
すべてのブリ・サワラ類 (8133)
ブリ (2366)
サワラ (2259)
サゴシ (794)
ハマチ (611)
ワラサ (559)
ツバス (473)
ヒラマサ (431)
カンパチ (276)
カマスサワラ (134)
ツムブリ (96)
カツオ類
すべてのカツオ類 (2465)
カツオ (2043)
スマ (165)
ヒラソウダ (117)
ハガツオ (92)
カツオ(冷凍) (28)
マルソウダ (16)
平ソウダガツオ (3)
イケカツオ (1)
特種(ウニ・イクラ・貝類他)
すべての特種(ウニ・イクラ・貝類他) (5343)
ウニ (685)
バフンウニ (591)
シジミ (347)
本バイ (275)
サザエ (230)
ホタテ (222)
ホッキ貝 (193)
ハマグリ (185)
白バイ (172)
アサリ (159)
青物(アジ・サバ・イワシ類他)
すべての青物(アジ・サバ・イワシ類他) (7370)
マアジ (1763)
マサバ (1521)
マイワシ (1344)
ゴマサバ (721)
豆アジ (270)
サンマ(秋刀魚) (220)
アジ (194)
マルアジ (163)
ニシン (135)
サヨリ (132)
エビ・カニ類
すべてのエビ・カニ類 (1658)
伊勢海老 (297)
甘エビ (141)
毛ガニ (110)
ワタリガニ (80)
クマエビ (79)
タラバガニ (79)
サルエビ (59)
セコガニ (58)
ボタンエビ (54)
シャコ (51)
イカ・タコ類
すべてのイカ・タコ類 (4461)
ケンサキイカ (731)
アオリイカ (626)
スルメイカ (543)
ヤリイカ (340)
マダコ (321)
ヤリイカバラ (291)
コウイカ (262)
モンゴウイカ (258)
スルメイカバラ (214)
ケンサキイカバラ (124)
ヒラメ・カレイ類
すべてのヒラメ・カレイ類 (2357)
ヒラメ (729)
アカガレイ (376)
アカシタビラメ (280)
イシガレイ (238)
ミズガレイ (90)
ナメタガレイ (81)
アブラガレイ (78)
エテガレイ (72)
マガレイ (63)
マコガレイ (52)
サケ・マス類
すべてのサケ・マス類 (928)
銀鮭 (262)
サケ(時不知) (149)
サクラマス (135)
鮭 (115)
サーモン (78)
筋子 (64)
サツキマス(養殖) (36)
アトランティックサーモン (26)
紅鮭 (23)
マスノスケ (18)
タイ類
すべてのタイ類 (7430)
キンメダイ (1849)
アマダイ (1816)
マダイ (1081)
レンコダイ (378)
イシダイ (323)
チダイ (240)
クロダイ (238)
コショウダイ (192)
マトウダイ (153)
イボダイ(エボダイ) (146)
タラ・フグ類
すべてのタラ・フグ類 (1511)
マダラ(加工) (458)
マダラ (349)
タラ白子 (195)
タラフィーレ (141)
スケトウダラ (90)
マフグ (86)
トラフグ (57)
マフグ(身欠) (50)
シロサバフグ (14)
銀ダラ(冷凍) (14)
アナゴ類
すべてのアナゴ類 (1130)
アナゴ (730)
ハモ (195)
骨切りハモ (73)
ウナギ (66)
鰻の蒲焼 (36)
ウツボ (14)
ヌタウナギ (4)
マアナゴ (4)
アナゴ(冷凍) (4)
鰻の白焼 (1)
白身
すべての白身 (11358)
ノドグロ(アカムツ) (916)
イサキ (894)
キチジ (652)
タチウオ (614)
スズキ (601)
アンコウ (530)
クエ (479)
メダイ (411)
ウマヅラハギ (358)
マナガツオ (311)
海藻類
すべての海藻類 (167)
ワカメ (57)
メカブ (49)
モズク (17)
フノリ (10)
昆布 (6)
ギンナンソウ (5)
マツモ (5)
アオサ (4)
アカモク (4)
海素麺 (3)
その他
すべてのその他 (4356)
鮮魚BOX (2842)
その他 (258)
カサゴ (249)
辛子明太子 (171)
ツブ貝 (158)
アユ (65)
クジラ (54)
ツバメウオ (53)
その他の加工品 (40)
ワカサギ (40)
冷凍・加工品
すべての冷凍・加工品 (2899)
バフンウニ (504)
ウニ (210)
辛子明太子 (171)
マグロ加工品 (116)
イクラ (82)
アナゴ (73)
ホタテ (56)
タラバガニ (53)
マフグ(身欠) (50)
クジラ (48)