トップ
UUUOについて
利用規約
プライバシーポリシー
特定商取引法に基づく表示
運営会社
お問い合わせ
Copyright © UUUO, inc. All Rights Reserved
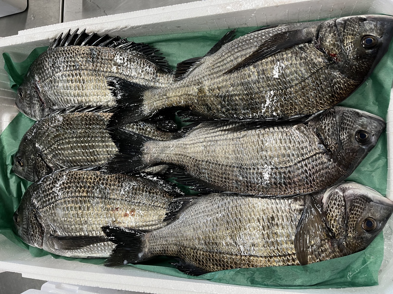
活〆クロダイ(定置)【業務用の鮮魚仕入れならウーオ】
TOP
活〆クロダイ(定置)
4月4日(土) 撮影
1
/
2
島根産
産地直送
活〆
クロダイ
(定置)
(2規格)
定置網で水揚げされました! 鮮度良しです!
クロダイ
サイズ/規格
価格(税込/送料込)
購入数
3入約4.5kg
約1.5kg
/尾
¥-
利用登録して確認
受付終了
6入約5kg
約833.33g
/尾
¥-
利用登録して確認
受付終了
価格確認には利用登録(無料)が必要です
受取方法や支払い方法によって購入できる
商品・価格は異なります
お届け日
本日から最短1~2日を目安にお届け
加工可能と記載の商品以外は加工要望を確約できません。基本的に有償です。
商品詳細
産地
島根産
漁法
定置網
締め方
活け締め
水揚げ日
4月4日(土)
お届け方法
ヤマト運輸クール宅急便
全国への配送が可能
出荷注意事項
クロネコヤマト便は基本翌日発送になります。ヤマト関東へは翌日着可能ですが、最短の時間指定は14〜16時となります。
出品日時
2026年4月5日(日) 16:24
商品ID
372094
購入には利用登録(無料)が必要です
3分で完了!利用登録(無料)
おすすめキーワード
鮮魚BOX
ウニ
マグロ・カジキ類
ホタルイカ
カツオ
ブリ
サーモン
本マグロ
アトランティックサーモン
サワラ
カテゴリから探す
訳あり特価品
すべての訳あり特価品 (0)
鮮魚BOX
すべての鮮魚BOX (2840)
マグロ・カジキ類
すべてのマグロ・カジキ類 (5022)
本マグロ (1812)
メジマグロ (648)
ヨコワ (454)
キハダマグロ (323)
ミナミマグロ (293)
キメジマグロ (290)
ビンチョウマグロ (216)
本マグロ(養殖) (176)
メバチマグロ (136)
マグロ加工品 (132)
ブリ・サワラ類
すべてのブリ・サワラ類 (8131)
ブリ (2359)
サワラ (2248)
サゴシ (790)
ハマチ (617)
ワラサ (565)
ツバス (476)
ヒラマサ (435)
カンパチ (276)
カマスサワラ (134)
ツムブリ (96)
カツオ類
すべてのカツオ類 (2474)
カツオ (2058)
スマ (160)
ヒラソウダ (117)
ハガツオ (91)
カツオ(冷凍) (28)
マルソウダ (16)
平ソウダガツオ (3)
イケカツオ (1)
特種(ウニ・イクラ・貝類他)
すべての特種(ウニ・イクラ・貝類他) (5311)
ウニ (673)
バフンウニ (583)
シジミ (346)
本バイ (272)
サザエ (233)
ホタテ (208)
ホッキ貝 (194)
ハマグリ (182)
白バイ (170)
アサリ (161)
青物(アジ・サバ・イワシ類他)
すべての青物(アジ・サバ・イワシ類他) (7366)
マアジ (1762)
マサバ (1534)
マイワシ (1345)
ゴマサバ (723)
豆アジ (267)
サンマ(秋刀魚) (222)
アジ (188)
マルアジ (158)
ニシン (136)
サヨリ (125)
エビ・カニ類
すべてのエビ・カニ類 (1640)
伊勢海老 (290)
甘エビ (143)
毛ガニ (103)
ワタリガニ (80)
クマエビ (79)
タラバガニ (78)
サルエビ (59)
セコガニ (58)
ボタンエビ (54)
シャコ (51)
イカ・タコ類
すべてのイカ・タコ類 (4478)
ケンサキイカ (727)
アオリイカ (629)
スルメイカ (546)
ヤリイカ (339)
マダコ (326)
ヤリイカバラ (289)
コウイカ (264)
モンゴウイカ (257)
スルメイカバラ (216)
ケンサキイカバラ (124)
ヒラメ・カレイ類
すべてのヒラメ・カレイ類 (2357)
ヒラメ (734)
アカガレイ (384)
アカシタビラメ (277)
イシガレイ (238)
ミズガレイ (88)
ナメタガレイ (82)
アブラガレイ (78)
エテガレイ (74)
マガレイ (57)
マコガレイ (51)
サケ・マス類
すべてのサケ・マス類 (917)
銀鮭 (266)
サケ(時不知) (149)
サクラマス (122)
鮭 (115)
サーモン (79)
筋子 (64)
サツキマス(養殖) (33)
アトランティックサーモン (27)
紅鮭 (22)
マスノスケ (18)
タイ類
すべてのタイ類 (7427)
キンメダイ (1845)
アマダイ (1797)
マダイ (1083)
レンコダイ (375)
イシダイ (326)
クロダイ (247)
チダイ (239)
コショウダイ (195)
マトウダイ (150)
イボダイ(エボダイ) (147)
タラ・フグ類
すべてのタラ・フグ類 (1508)
マダラ(加工) (452)
マダラ (347)
タラ白子 (195)
タラフィーレ (145)
スケトウダラ (89)
マフグ (85)
トラフグ (58)
マフグ(身欠) (50)
シロサバフグ (14)
銀ダラ(冷凍) (14)
アナゴ類
すべてのアナゴ類 (1127)
アナゴ (724)
ハモ (195)
骨切りハモ (73)
ウナギ (68)
鰻の蒲焼 (36)
ウツボ (14)
マアナゴ (5)
ヌタウナギ (4)
アナゴ(冷凍) (4)
鰻の白焼 (1)
白身
すべての白身 (11271)
ノドグロ(アカムツ) (916)
イサキ (900)
キチジ (641)
タチウオ (611)
スズキ (604)
アンコウ (537)
クエ (478)
メダイ (401)
ウマヅラハギ (355)
マナガツオ (317)
海藻類
すべての海藻類 (164)
ワカメ (57)
メカブ (45)
モズク (17)
フノリ (10)
昆布 (6)
ギンナンソウ (5)
アオサ (5)
マツモ (4)
アカモク (4)
海素麺 (3)
その他
すべてのその他 (4384)
鮮魚BOX (2840)
その他 (272)
カサゴ (249)
辛子明太子 (185)
ツブ貝 (158)
アユ (63)
クジラ (57)
ツバメウオ (53)
ワカサギ (40)
その他の加工品 (40)
冷凍・加工品
すべての冷凍・加工品 (2929)
バフンウニ (490)
ウニ (208)
辛子明太子 (185)
マグロ加工品 (131)
イクラ (81)
アナゴ (73)
ホタテ (56)
タラバガニ (53)
クジラ (51)
マフグ(身欠) (50)
ウーオの使い勝手はいかがですか?
取り扱って欲しい商品や改善してほしい点などを教えてください。
できる限りお応えできるよう努力いたします。
サービスへのご意見・ご要望