TOP
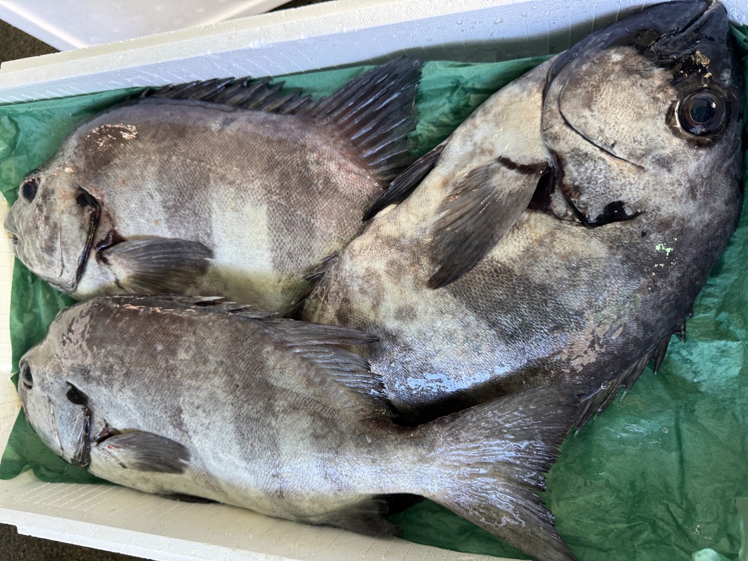
活〆イシダイ(底曳)
9月11日(木) 撮影
1
/
2
島根産
産地直送
活〆
イシダイ
(底曳)
(2規格)
ピッカピカ活〆✨ よろしくお願いします😊
イシダイ
kg単価商品です
仕立て後、合計kg数と金額をご連絡します。
請求額は確定したkg数によって変動します。
サイズ/規格
価格(税込/送料込)
購入数
3入約5.8kg
約1.93kg
/尾
¥-
利用登録して確認
受付終了
4入約4.8kg
約1.2kg
/尾
¥-
利用登録して確認
受付終了
価格確認には利用登録(無料)が必要です
受取方法や支払い方法によって購入できる
商品・価格は異なります
お届け日
本日から最短1~2日を目安にお届け
加工可能と記載の商品以外は加工要望を確約できません。基本的に有償です。
商品詳細
産地
島根産
漁法
底びき網
締め方
活け締め
水揚げ日
9月11日(木)
お届け方法
ヤマト運輸クール宅急便
全国への配送が可能
出荷注意事項
朝4〜14時頃の注文受付時間で、商品によって当日もしくは翌日出荷いたします。ヤマト便で島根から関東翌日着できるようになりましたが、最短は14〜16時です。午前中着はできませんのでご了承ください。
出品日時
2025年9月12日(金) 8:08
商品ID
288364
おすすめキーワード
鮮魚BOX
カツオ
アナゴ
ブリ
本マグロ
サワラ
イクラ
ウニ
クエ
ノドグロ
カテゴリから探す
訳あり特価品
すべての訳あり特価品 (0)
鮮魚BOX
すべての鮮魚BOX (2842)
マグロ・カジキ類
すべてのマグロ・カジキ類 (3534)
本マグロ (699)
メジマグロ (580)
ヨコワ (482)
キハダマグロ (340)
ミナミマグロ (253)
キメジマグロ (211)
本マグロ(養殖) (210)
ビンチョウマグロ (207)
バショウカジキ (128)
メバチマグロ (117)
ブリ・サワラ類
すべてのブリ・サワラ類 (7833)
サワラ (2253)
ブリ (2185)
サゴシ (852)
ハマチ (574)
ワラサ (552)
ヒラマサ (515)
ツバス (335)
カンパチ (255)
カマスサワラ (112)
イナダ (89)
カツオ類
すべてのカツオ類 (2495)
カツオ (2109)
スマ (145)
ヒラソウダ (116)
ハガツオ (63)
カツオ(冷凍) (28)
マルソウダ (17)
平ソウダガツオ (11)
イケカツオ (6)
特種(ウニ・イクラ・貝類他)
すべての特種(ウニ・イクラ・貝類他) (4933)
ウニ (681)
バフンウニ (595)
ホタテ (339)
シジミ (287)
本バイ (243)
サザエ (220)
ホッキ貝 (190)
白バイ (175)
ハマグリ (119)
もうかの星 (115)
青物(アジ・サバ・イワシ類他)
すべての青物(アジ・サバ・イワシ類他) (6608)
マアジ (1527)
マサバ (1379)
マイワシ (1292)
ゴマサバ (606)
豆アジ (272)
サンマ(秋刀魚) (230)
マルアジ (179)
ニシン (153)
サヨリ (126)
シイラ (113)
エビ・カニ類
すべてのエビ・カニ類 (1948)
伊勢海老 (569)
タラバガニ (115)
甘エビ (98)
ワタリガニ (96)
毛ガニ (88)
クマエビ (86)
シャコ (72)
セコガニ (65)
ボイルベニズワイガニ (56)
サルエビ (55)
イカ・タコ類
すべてのイカ・タコ類 (4288)
ケンサキイカ (676)
アオリイカ (571)
スルメイカ (517)
ヤリイカ (400)
マダコ (379)
コウイカ (268)
モンゴウイカ (220)
スルメイカバラ (201)
ヤリイカバラ (163)
ケンサキイカバラ (127)
ヒラメ・カレイ類
すべてのヒラメ・カレイ類 (2603)
ヒラメ (945)
アカガレイ (340)
アカシタビラメ (248)
イシガレイ (235)
ナメタガレイ (109)
マコガレイ (102)
エテガレイ (85)
ミズガレイ (73)
サメガレイ (73)
マガレイ (70)
サケ・マス類
すべてのサケ・マス類 (909)
サクラマス (222)
サケ(時不知) (148)
銀鮭 (144)
鮭 (122)
筋子 (81)
サーモン (79)
サツキマス(養殖) (45)
紅鮭 (26)
マスノスケ (18)
サーモントラウト(養殖) (8)
タイ類
すべてのタイ類 (7388)
アマダイ (1818)
キンメダイ (1438)
マダイ (1132)
イシダイ (374)
メダイ (371)
レンコダイ (333)
チダイ (249)
クロダイ (164)
イボダイ(エボダイ) (157)
イトヨリダイ (153)
タラ・フグ類
すべてのタラ・フグ類 (1185)
マダラ(加工) (438)
マダラ (276)
タラ白子 (131)
マフグ (86)
スケトウダラ (76)
トラフグ (50)
マフグ(身欠) (42)
タラフィーレ (28)
銀ダラ(冷凍) (10)
シロサバフグ (10)
アナゴ類
すべてのアナゴ類 (878)
アナゴ (549)
ハモ (183)
骨切りハモ (71)
鰻の蒲焼 (30)
ウナギ (12)
ノレソレ (10)
マアナゴ (5)
ウツボ (5)
ヌタウナギ (4)
アナゴ(冷凍) (4)
白身
すべての白身 (11415)
ノドグロ(アカムツ) (846)
イサキ (833)
タチウオ (635)
クエ (577)
キチジ (562)
スズキ (553)
アンコウ (543)
ウマヅラハギ (433)
キジハタ(アコウ) (308)
ホウボウ (256)
その他
すべてのその他 (4033)
鮮魚BOX (2842)
ツブ貝 (130)
アユ (109)
ワカメ (90)
メカブ (80)
シラス (57)
ネズミゴチ (50)
ワカサギ (46)
シラウオ (37)
ツバメウオ (33)
冷凍・加工品
すべての冷凍・加工品 (2248)
バフンウニ (470)
ウニ (207)
冷凍スルメイカ (95)
イクラ (68)
タラバガニ (52)
マフグ(身欠) (42)
ホタテ (41)
サーモン (32)
ズワイガニ (31)
牡蠣(冷凍) (31)
購入には利用登録(無料)が必要です
3分で完了!利用登録(無料)
トップ
UUUOについて
利用規約
プライバシーポリシー
特定商取引法に基づく表示
運営会社
お問い合わせ
Copyright © UUUO, inc. All Rights Reserved